Account: R2720604
April 2, 2026
| Account | Parcel | Account Type | Tax Year | Buildings | Actual Value | Local Govt Assessed Value | School Assessed Value |
|---|---|---|---|---|---|---|---|
| R2720604 | 131314305005 | Commercial | 2026 | 1 | 433,244 | 116,980 | 116,980 |
| Legal |
|---|
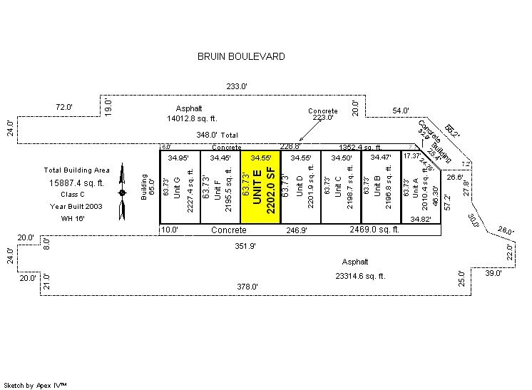
| FRE BBC UNIT E 9250 BRUIN BOULEVARD CONDOS |
| Subdivision | Block | Lot | Land Economic Area |
|---|---|---|---|
| 9250 BRUIN BOULEVARD CONDO | E | FREDERICK BEAR INDUSTRIAL |
| Property Address | Property City | Section | Township | Range |
|---|---|---|---|---|
| 9250 BRUIN BLVD E | FREDERICK | 14 | 02 | 68 |
| Account | Parcel | Account Type | Tax Year | Buildings | Actual Value | Local Govt Assessed Value | School Assessed Value |
|---|---|---|---|---|---|---|---|
| R2720604 | 131314305005 | Commercial | 2026 | 1 | 433,244 | 116,980 | 116,980 |
| Account | Owner Name | Address |
|---|---|---|
| R2720604 | DILLER ENTERPRISES LLC | 9456 COUNTY ROAD 34 PLATTEVILLE, CO 806519217 |
| Account | Parcel | Account Type | Tax Year | Buildings | Actual Value | Local Govt Assessed Value | School Assessed Value |
|---|---|---|---|---|---|---|---|
| R2720604 | 131314305005 | Commercial | 2026 | 1 | 433,244 | 116,980 | 116,980 |
| Reception | Rec Date | Type | Grantor | Grantee | Doc Fee | Sale Date | Sale Price |
|---|---|---|---|---|---|---|---|
| 3121358 | NA | SUB | SUBDIVISION | 9250 BRUIN BOULEVARD CONDOS | 0.00 | NA | 0 |
| 3394566 | 06-08-2006 | WD | PARKER GROUP INVESTMENTS LLC | ASTRAL COMMUNICATIONS INC | 21.50 | 06-02-2006 | 215,000 |
| 3692009 | 05-07-2010 | WD | ASTRAL COMMUNICATIONS INC | ZEN TRANSPORT INC | 21.00 | 04-30-2010 | 210,000 |
| 3692012 | 05-07-2010 | QCN | ZEN TRANSPORT INC | KB JONES LLC | 0.00 | 04-30-2010 | 0 |
| 3743577 | 01-06-2011 | WDN | ASTRAL COMMUNICATIONS INC | ZEN TRANSPORT INC A COLORADO CORP AND KENDRA JONES | 0.00 | 01-06-2011 | 0 |
| 3743579 | 01-06-2011 | QCN | KB JONES LLC | ZEN TRANSPORT INC | 0.00 | 12-16-2010 | 0 |
| 3743580 | 01-06-2011 | AFFD | ZEN TRANSPORT INC | ZEN TRANSPORT INC | 0.00 | 01-06-2011 | 0 |
| 3743582 | 01-06-2011 | QCN | ZEN TRANSPORT INC | KB JONES LLC | 0.00 | 12-16-2010 | 0 |
| 4029836 | 07-11-2014 | WDE | KB JONES LLC | 9250 BRUIN PROPERTIES LLC | 17.00 | 07-10-2014 | 170,000 |
| 4652753 | 11-19-2020 | SWD | 9250 BRUIN PROPERTIES LLC | ELS PROPERTY MANAGEMENT | 32.50 | 11-13-2020 | 325,000 |
| 4990597 | 10-25-2024 | SWD | ELS PROPERTY MANAGEMENT | DILLER ENTERPRISES LLC | 147.50 | 10-23-2024 | 1,475,000 |
*If the hyperlink for the reception number does not work, try a manual search in the Clerk and Recorder records. Use the Grantor or Grantee in your search.
| Account | Parcel | Account Type | Tax Year | Buildings | Actual Value | Local Govt Assessed Value | School Assessed Value |
|---|---|---|---|---|---|---|---|
| R2720604 | 131314305005 | Commercial | 2026 | 1 | 433,244 | 116,980 | 116,980 |
Building 1
| AccountNo | Building ID | Occupancy |
|---|---|---|
| R2720604 | 1 | Warehouse |
| ID | Type | NBHD | Occupancy | % Complete | Bedrooms | Baths |
|---|---|---|---|---|---|---|
| 1 | Condo | 3917 | Warehouse | 100 | 0 | 0.00 |
| ID | Exterior | Roof Cover | Interior | HVAC | Perimeter | Units | Unit Type | Make |
|---|---|---|---|---|---|---|---|---|
| 1 | NA | NA | NA | Space Heater | 613 | 7 | Inside | NA |
| ID | Square Ft | Condo SF | Total Basement SF | Finished Basement SF | Garage SF | Carport SF | Balcony SF | Porch SF |
|---|---|---|---|---|---|---|---|---|
| 1 | 2,202 | 0 | 0 | 0 | 0 | 0 | 0 | 0 |
| ID | Built As | Square Ft | Year Built | Stories | Length | Width |
|---|---|---|---|---|---|---|
| 1.00 | Storage Warehouse | 2,202 | 2003 | 1 | 0 | 0 |
| ID | Detail Type | Description | Units |
|---|---|---|---|
| 1 | Add On | Com Office Finish Average | 727.00 |
| Account | Parcel | Account Type | Tax Year | Buildings | Actual Value | Local Govt Assessed Value | School Assessed Value |
|---|---|---|---|---|---|---|---|
| R2720604 | 131314305005 | Commercial | 2026 | 1 | 433,244 | 116,980 | 116,980 |
| Type | Code | Description | Actual Value | Local Govt Assessed Value | School Assessed Value | Acres | Land SqFt |
|---|---|---|---|---|---|---|---|
| Improvement | 2245 | COMMERCIAL CONDOS | 433,244 | 116,980 | 116,980 | 0.000 | 0 |
| Totals | - | - | 433,244 | 116,980 | 116,980 | 0.000 | 0 |
Comparable sales for your Residential or Commercial property may be found using our SALES SEARCH TOOL
Values are updated annually on May 1st for Real Property and June 15th for Personal Property and Oil and Gas.
| Account | Parcel | Account Type | Tax Year | Buildings | Actual Value | Local Govt Assessed Value | School Assessed Value |
|---|---|---|---|---|---|---|---|
| R2720604 | 131314305005 | Commercial | 2026 | 1 | 433,244 | 116,980 | 116,980 |
| Tax Area | District ID | District Name | Local Govt Mill Levy |
School Mill Levy |
Estimated Taxes |
|---|---|---|---|---|---|
| 1459 | 0900 | CARBON VALLEY REC | 4.427 | 0.000 | $517.87 |
| 1459 | 0408 | FREDERICK TOWN | 6.555 | 0.000 | $766.80 |
| 1459 | 0507 | FREDERICK-FIRESTONE FIRE | 15.559 | 0.000 | $1,820.09 |
| 1459 | 1050 | HIGH PLAINS LIBRARY | 3.044 | 0.000 | $356.09 |
| 1459 | 0301 | NORTHERN COLORADO WATER (NCW) | 1.000 | 0.000 | $116.98 |
| 1459 | 0213 | SCHOOL DIST RE1J-LONGMONT | 0.000 | 57.717 | $6,751.73 |
| 1459 | 0620 | ST VRAIN SANITATION | 0.316 | 0.000 | $36.97 |
| 1459 | 0100 | WELD COUNTY | 15.956 | 0.000 | $1,866.53 |
| Total | - | - | 46.857 | 57.717 | $12,233.07 |
The estimate of tax is based on the prior year mill levy and the 2025 projected assessment rates. Mill levies and tax estimates will be updated yearly on December 22nd for the current year. Additional information can be found at https://assessor.weld.gov




