Account: R3311305

April 1, 2026

Account Parcel Account Type Tax Year Buildings Actual Value Local Govt Assessed Value School Assessed Value
R3311305 096120327002 Industrial 2026 1 2,501,207 675,330 675,330

Legal
EVS L2 EVANS LOT LINE ADJ PT L2 THRU 4 & VAC GOLDEN ST NE4SW4 20-5-65

Subdivision Block Lot Land Economic Area
EVANS CITY RPLT L2-4 LOT LINE ADJUSTMENT 2 EVANS CENTRAL COMMERCIAL

Property Address Property City Section Township Range
3309 EMPIRE ST EVANS 20 05 65




Account Parcel Account Type Tax Year Buildings Actual Value Local Govt Assessed Value School Assessed Value
R3311305 096120327002 Industrial 2026 1 2,501,207 675,330 675,330

Account Owner Name Address
R3311305 3309 EMPIRE LLC PO BOX 135 WINDSOR, CO 805500135


Account Parcel Account Type Tax Year Buildings Actual Value Local Govt Assessed Value School Assessed Value
R3311305 096120327002 Industrial 2026 1 2,501,207 675,330 675,330

Reception Rec Date Type Grantor Grantee Doc Fee Sale Date Sale Price
2782084 NA SUB SUBDIVISION EVANS CITY RPLT L2-4 LOT LINE ADJUSTMENT 0.00 NA 0
5062296 10-29-2025 SWD EMPIRE VENTURES LLC 3309 EMPIRE LLC 547.50 10-24-2025 5,475,000
5074940 12-30-2025 SURV SURVEY SURVEY 0.00 09-17-2025 0



Account Parcel Account Type Tax Year Buildings Actual Value Local Govt Assessed Value School Assessed Value
R3311305 096120327002 Industrial 2026 1 2,501,207 675,330 675,330

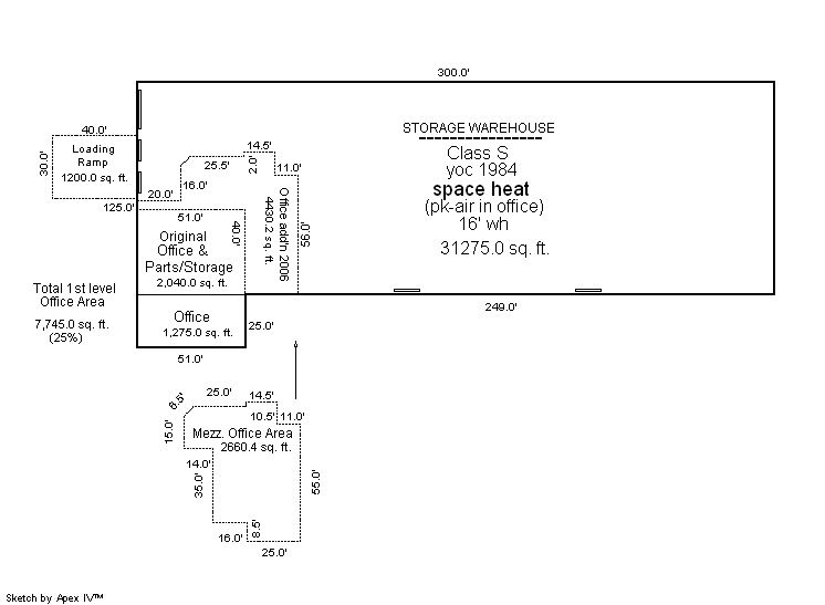
Building 1

AccountNo Building ID Occupancy
R3311305 1 Warehouse


ID Type NBHD Occupancy % Complete Bedrooms Baths
1 Commercial 6925 Warehouse 100 0 0.00


ID Exterior Roof Cover Interior HVAC Perimeter Units Unit Type Make
1 NA NA NA Package Unit 850 0 NA NA


ID Square Ft Condo SF Total Basement SF Finished Basement SF Garage SF Carport SF Balcony SF Porch SF
1 31,275 0 0 0 0 0 0 0


Built As Details for Building 1
ID Built As Square Ft Year Built Stories Length Width
1.00 Storage Warehouse 31,275 1984 1 0 0


Additional Details for Building 1
ID Detail Type Description Units
1 Add On Asphalt Low 26720.00
1 Mezzanine Office 2660.00





Account Parcel Account Type Tax Year Buildings Actual Value Local Govt Assessed Value School Assessed Value
R3311305 096120327002 Industrial 2026 1 2,501,207 675,330 675,330

Type Code Description Actual Value Local Govt Assessed Value School Assessed Value Acres Land SqFt
Improvement 3215 MANUFACTURED PROCESSING-IMPS 1,660,848 448,430 448,430 0.000 0
Land 3115 MANUFACTURED/PROCESSING-LAND 840,359 226,900 226,900 3.860 168,139
Totals - - 2,501,207 675,330 675,330 3.860 168,139


Account Parcel Account Type Tax Year Buildings Actual Value Local Govt Assessed Value School Assessed Value
R3311305 096120327002 Industrial 2026 1 2,501,207 675,330 675,330

Tax Area District ID District Name Local Govt
Mill Levy
School
Mill Levy
Estimated
Taxes
5962 0700 AIMS JUNIOR COLLEGE 6.313 0.000 $4,263.36
5962 0405 EVANS CITY 3.536 0.000 $2,387.97
5962 0534 EVANS FIRE 15.500 0.000 $10,467.62
5962 1050 HIGH PLAINS LIBRARY 3.044 0.000 $2,055.70
5962 0974 HIGHWAY 85 CORRIDOR URBAN RENEWAL 0.000 0.000 $0.00
5962 0301 NORTHERN COLORADO WATER (NCW) 1.000 0.000 $675.33
5962 0206 SCHOOL DIST 6-GREELEY 0.000 47.615 $32,155.84
5962 0100 WELD COUNTY 15.956 0.000 $10,775.57
Total - - 45.349 47.615 $62,781.38


The estimate of tax is based on the prior year mill levy and the 2025 projected assessment rates. Mill levies and tax estimates will be updated yearly on December 22nd for the current year. Additional information can be found at https://assessor.weld.gov










Select Reports to Print: