Account: R4490806

April 4, 2026

Account Parcel Account Type Tax Year Buildings Actual Value Local Govt Assessed Value School Assessed Value
R4490806 131326212001 Commercial 2026 1 191,468 51,700 51,700

Legal
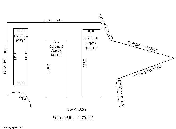
FRE FWSC UNIT 1 BLDG A FREDERICK WEST STORAGE CONDOS

Subdivision Block Lot Land Economic Area
FREDERICK WEST STORAGE CONDOS 1 FREDERICK WEST BUSINESS CENTER

Property Address Property City Section Township Range
7100 MILLER PL 1A FREDERICK 26 02 68




Account Parcel Account Type Tax Year Buildings Actual Value Local Govt Assessed Value School Assessed Value
R4490806 131326212001 Commercial 2026 1 191,468 51,700 51,700

Account Owner Name Address
R4490806 FREDERICKS FRANK H 1910 S LOCUST ST DENVER, CO 802242321
R4490806 SUCHA JONATHAN W


Account Parcel Account Type Tax Year Buildings Actual Value Local Govt Assessed Value School Assessed Value
R4490806 131326212001 Commercial 2026 1 191,468 51,700 51,700

Reception Rec Date Type Grantor Grantee Doc Fee Sale Date Sale Price
3409900 NA SUB SUBDIVISION FREDERICK WEST STORAGE CONDOS 0.00 NA 0
3409901 08-07-2006 SWD HSH PROPERTIES LLC FREDERICKS FRANK H & 6.50 08-04-2006 65,000



Account Parcel Account Type Tax Year Buildings Actual Value Local Govt Assessed Value School Assessed Value
R4490806 131326212001 Commercial 2026 1 191,468 51,700 51,700

Building 1

AccountNo Building ID Occupancy
R4490806 1 Warehouse


ID Type NBHD Occupancy % Complete Bedrooms Baths
1 Condo 3913 Warehouse 100 0 0.00


ID Exterior Roof Cover Interior HVAC Perimeter Units Unit Type Make
1 NA NA NA Space Heater 490 1 End NA


ID Square Ft Condo SF Total Basement SF Finished Basement SF Garage SF Carport SF Balcony SF Porch SF
1 934 0 0 0 0 0 0 0


Built As Details for Building 1
ID Built As Square Ft Year Built Stories Length Width
1.00 Storage Warehouse 934 2006 1 0 0

No Additional Details for Building 1






Account Parcel Account Type Tax Year Buildings Actual Value Local Govt Assessed Value School Assessed Value
R4490806 131326212001 Commercial 2026 1 191,468 51,700 51,700

Type Code Description Actual Value Local Govt Assessed Value School Assessed Value Acres Land SqFt
Improvement 2245 COMMERCIAL CONDOS 191,468 51,700 51,700 0.000 0
Totals - - 191,468 51,700 51,700 0.000 0


Account Parcel Account Type Tax Year Buildings Actual Value Local Govt Assessed Value School Assessed Value
R4490806 131326212001 Commercial 2026 1 191,468 51,700 51,700

Tax Area District ID District Name Local Govt
Mill Levy
School
Mill Levy
Estimated
Taxes
1459 0900 CARBON VALLEY REC 4.427 0.000 $228.88
1459 0408 FREDERICK TOWN 6.555 0.000 $338.89
1459 0507 FREDERICK-FIRESTONE FIRE 15.559 0.000 $804.40
1459 1050 HIGH PLAINS LIBRARY 3.044 0.000 $157.37
1459 0301 NORTHERN COLORADO WATER (NCW) 1.000 0.000 $51.70
1459 0213 SCHOOL DIST RE1J-LONGMONT 0.000 57.717 $2,983.97
1459 0620 ST VRAIN SANITATION 0.316 0.000 $16.34
1459 0100 WELD COUNTY 15.956 0.000 $824.93
Total - - 46.857 57.717 $5,406.48


The estimate of tax is based on the prior year mill levy and the 2025 projected assessment rates. Mill levies and tax estimates will be updated yearly on December 22nd for the current year. Additional information can be found at https://assessor.weld.gov










Select Reports to Print: