Account: R6296486
April 4, 2026
| Account | Parcel | Account Type | Tax Year | Buildings | Actual Value | Local Govt Assessed Value | School Assessed Value |
|---|---|---|---|---|---|---|---|
| R6296486 | 147131005004 | Industrial | 2026 | 1 | 1,200,000 | 324,000 | 324,000 |
| Legal |
|---|
| BRI BIP2-4 L4 BLK2 BRIGHTON INDUSTRIAL PARK LTD |
| Subdivision | Block | Lot | Land Economic Area |
|---|---|---|---|
| BRIGHTON INDUSTRIAL PARK LIMITED | 2 | 4 | BRIGHTON INDUSTRIAL <3 ACRES |
| Property Address | Property City | Section | Township | Range |
|---|---|---|---|---|
| 802 BASELINE PL 1-3 | BRIGHTON | 31 | 01 | 66 |
| Account | Parcel | Account Type | Tax Year | Buildings | Actual Value | Local Govt Assessed Value | School Assessed Value |
|---|---|---|---|---|---|---|---|
| R6296486 | 147131005004 | Industrial | 2026 | 1 | 1,200,000 | 324,000 | 324,000 |
| Account | Owner Name | Address |
|---|---|---|
| R6296486 | QUADCO INC | PO BOX 410 GRANBY, CO 804460410 |
| Account | Parcel | Account Type | Tax Year | Buildings | Actual Value | Local Govt Assessed Value | School Assessed Value |
|---|---|---|---|---|---|---|---|
| R6296486 | 147131005004 | Industrial | 2026 | 1 | 1,200,000 | 324,000 | 324,000 |
| Reception | Rec Date | Type | Grantor | Grantee | Doc Fee | Sale Date | Sale Price |
|---|---|---|---|---|---|---|---|
| 01881957 | 02-02-1982 | WDN | 0.00 | 01-01-1900 | 0 | ||
| 02081361 | 12-19-1986 | BSDN | 0.00 | 11-19-1986 | 0 | ||
| 02236703 | 12-26-1990 | WDN | 0.00 | 12-21-1990 | 0 | ||
| 1868356 | NA | SUB | SUBDIVISION | BRIGHTON INDUSTRIAL PARK LIMITED | 0.00 | NA | 0 |
| 2522177 | 11-25-1996 | QCN | TRASCO 1/2 INT & | TRASCO | 0.00 | 11-22-1996 | 0 |
| 2703146 | 06-28-1999 | WD | TRASCO | SIMPSON SCOTT M & DYER MICHAEL | 7.56 | 06-24-1999 | 75,600 |
| 2786787 | 08-11-2000 | WD | SIMPSON SCOTT M & | TUTEN GARY L & MARY ANN | 11.75 | 08-08-2000 | 117,500 |
| 2958551 | 06-05-2002 | WD | TUTEN GARY L & MARY ANN | QUADCO INC | 50.00 | 05-31-2002 | 500,000 |
| 3948248 | 07-17-2013 | SURV | SURVEY | SURVEY | 0.00 | 07-17-2013 | 0 |
*If the hyperlink for the reception number does not work, try a manual search in the Clerk and Recorder records. Use the Grantor or Grantee in your search.
| Account | Parcel | Account Type | Tax Year | Buildings | Actual Value | Local Govt Assessed Value | School Assessed Value |
|---|---|---|---|---|---|---|---|
| R6296486 | 147131005004 | Industrial | 2026 | 1 | 1,200,000 | 324,000 | 324,000 |
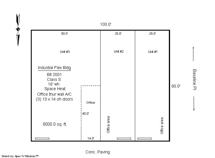
Building 1
| AccountNo | Building ID | Occupancy |
|---|---|---|
| R6296486 | 1 | Warehouse |
| ID | Type | NBHD | Occupancy | % Complete | Bedrooms | Baths |
|---|---|---|---|---|---|---|
| 1 | Commercial | 4903 | Warehouse | 100 | 0 | 0.00 |
| ID | Exterior | Roof Cover | Interior | HVAC | Perimeter | Units | Unit Type | Make |
|---|---|---|---|---|---|---|---|---|
| 1 | NA | NA | NA | Space Heater | 360 | 3 | NA | NA |
| ID | Square Ft | Condo SF | Total Basement SF | Finished Basement SF | Garage SF | Carport SF | Balcony SF | Porch SF |
|---|---|---|---|---|---|---|---|---|
| 1 | 8,000 | 0 | 0 | 0 | 0 | 0 | 0 | 0 |
| ID | Built As | Square Ft | Year Built | Stories | Length | Width |
|---|---|---|---|---|---|---|
| 1.00 | Industrial Flex Mall Building | 8,000 | 2001 | 1 | 0 | 0 |
| ID | Detail Type | Description | Units |
|---|---|---|---|
| 1 | Add On | Concrete Slab Average | 7200.00 |
| Account | Parcel | Account Type | Tax Year | Buildings | Actual Value | Local Govt Assessed Value | School Assessed Value |
|---|---|---|---|---|---|---|---|
| R6296486 | 147131005004 | Industrial | 2026 | 1 | 1,200,000 | 324,000 | 324,000 |
| Type | Code | Description | Actual Value | Local Govt Assessed Value | School Assessed Value | Acres | Land SqFt |
|---|---|---|---|---|---|---|---|
| Improvement | 3212 | CONTRACTING/SERVICE-IMPS | 1,025,000 | 276,750 | 276,750 | 0.000 | 0 |
| Land | 3112 | CONTRACTING/SERVICE-LAND | 175,000 | 47,250 | 47,250 | 1.000 | 43,750 |
| Totals | - | - | 1,200,000 | 324,000 | 324,000 | 1.000 | 43,750 |
Comparable sales for your Residential or Commercial property may be found using our SALES SEARCH TOOL
Values are updated annually on May 1st for Real Property and June 15th for Personal Property and Oil and Gas.
| Account | Parcel | Account Type | Tax Year | Buildings | Actual Value | Local Govt Assessed Value | School Assessed Value |
|---|---|---|---|---|---|---|---|
| R6296486 | 147131005004 | Industrial | 2026 | 1 | 1,200,000 | 324,000 | 324,000 |
| Tax Area | District ID | District Name | Local Govt Mill Levy |
School Mill Levy |
Estimated Taxes |
|---|---|---|---|---|---|
| 2032 | 0429 | BRIGHTON TOWN | 6.650 | 0.000 | $2,154.60 |
| 2032 | 0302 | CENTRAL COLORADO WATER (CCW) | 0.980 | 0.000 | $317.52 |
| 2032 | 0309 | CENTRAL COLORADO WATER SUBDISTRICT (CCS) | 1.462 | 0.000 | $473.69 |
| 2032 | 0503 | GREATER BRIGHTON FIRE | 17.504 | 0.000 | $5,671.30 |
| 2032 | 1050 | HIGH PLAINS LIBRARY | 3.044 | 0.000 | $986.26 |
| 2032 | 0216 | SCHOOL DIST 27J-BRIGHTON | 0.000 | 56.290 | $18,237.96 |
| 2032 | 0100 | WELD COUNTY | 15.956 | 0.000 | $5,169.74 |
| Total | - | - | 45.596 | 56.29 | $33,011.06 |
The estimate of tax is based on the prior year mill levy and the 2025 projected assessment rates. Mill levies and tax estimates will be updated yearly on December 22nd for the current year. Additional information can be found at https://assessor.weld.gov




